• 6
    observations

  • 4
    réserves

  • 4
    observateurs

  • Première observation
    1999

  • Dernière observation
    2015
Jean-francois Elder Onf - Langlois Dominique - Letheve Xavier - Mazuy Magalie

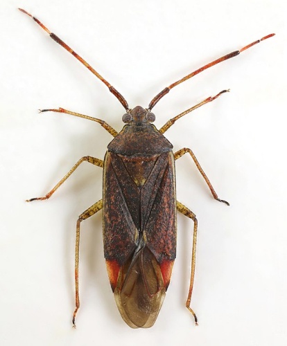
Informations sur l'espèce

Non renseignée pour le moment
Non renseigné pour le moment
Non renseignée pour le moment
Aucun synonyme pour ce taxon

Observations mensuelles