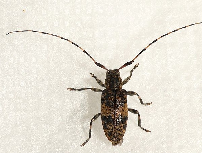
• 13
    observations

  • 6
    réserves

  • 7
    observateurs

  • Première observation
    1999

  • Dernière observation
    2018
Association Champenoise De Sciences Naturelles - Dodelin Benoit & Saurat Remy - Irstea - Laurent Velle - P.dauphin - Pnef - Pã´le National D’entomologie Forestiã¨re - Onf

Informations sur l'espèce

Non renseignée pour le moment
Non renseigné pour le moment
Non renseignée pour le moment
Aucun synonyme pour ce taxon

Observations mensuelles