• 13
    observations

  • 3
    réserves

  • 3
    observateurs

  • Première observation
    2009

  • Dernière observation
    2011
Langlois Dominique - Tissot Bruno - Treiber Reinhold

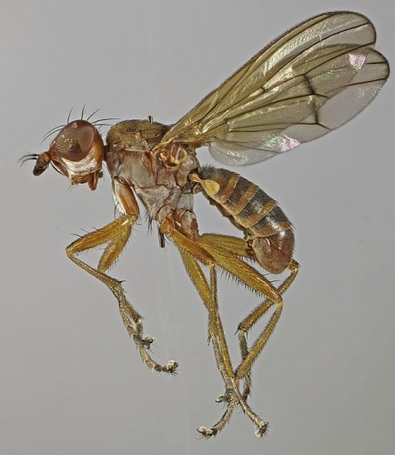
Informations sur l'espèce

Non renseignée pour le moment
Non renseigné pour le moment
Non renseignée pour le moment
Aucun synonyme pour ce taxon

Observations mensuelles