• 2
    observations

  • 2
    réserves

  • 3
    observateurs

  • Première observation
    1955

  • Dernière observation
    2015
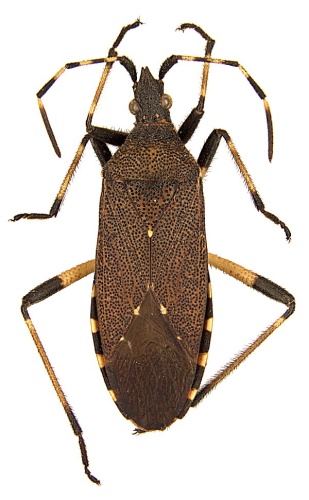
(1955). Contribution À La Faune Des Hémiptères Hétéroptères De La France - Maria Justamond - Wagner E.

Informations sur l'espèce

Non renseignée pour le moment
Non renseigné pour le moment
Non renseignée pour le moment
Aucun synonyme pour ce taxon

Observations mensuelles