• 3
    observations

  • 2
    réserves

  • 3
    observateurs

  • Première observation
    2009

  • Dernière observation
    2015
Matocq Armand - Non Renseigné - Pluot-sigwalt Dominique & Rault Pierre Alexis

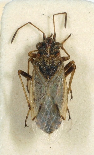
Informations sur l'espèce

Non renseignée pour le moment
Non renseigné pour le moment
Non renseignée pour le moment
Aucun synonyme pour ce taxon

Observations mensuelles