• 1
    observations

  • 1
    réserve

  • 1
    observateurs

  • Première observation
    2010

  • Dernière observation
    2010

Informations sur l'espèce

Non renseignée pour le moment
Non renseigné pour le moment
Non renseignée pour le moment
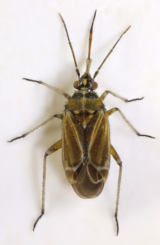
Lygaeus thunbergii Fallén, 1807

Observations mensuelles