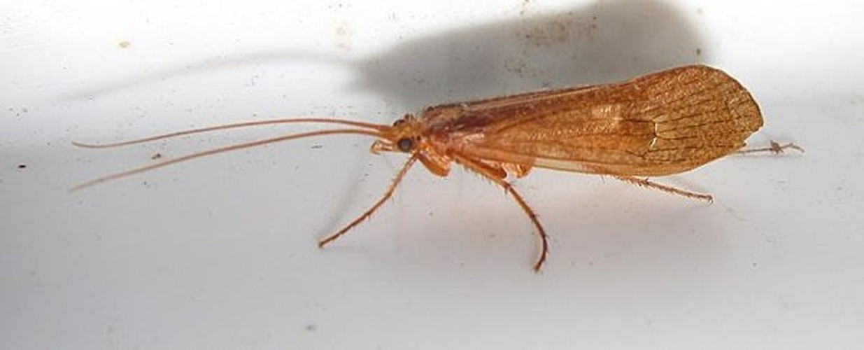
Stenophylax Kolenati, 1848

Classe : Hexapoda Ordre : Trichoptera Famille : Limnephilidae Tribu : Stenophylacini
4 taxon(s) inférieur(s) agrégé(s) sur cette fiche

  • 43
    observations

  • 10
    réserves

  • 14
    observateurs

  • Première observation
    1965

  • Dernière observation
    2013
(2004). Le Bassin Supérieur Du Fleuve Tech: État Biologique Initial Et Mise En Valeur Écologique Et Biogéographique Des Principales Zones De Conservation. - Adrien Auzeil - Bassins Versant Ressec-ferrato-mantet-alemany-caret - Breil Moubayed J. (2005). Etude Hydrobiologique Pour Des Suivis Des Populations D'invertebres Aquatiques - Breil-moubayed J. - Breil-moubayed J. - Breil-moubayed Joël(2009). Etude Hydrobiologique Pour Des Suivis De Populations D'invertébrés Aquatiques Dans La Rivière Rotjà  Conséquences Des Crues Torrentielles De Juillet 2 - Breil-moubayed Joël(2009). Etude Hydrobiologique Pour Des Suivis De Populations D'invertébrés Aquatiques Des Bassins Versants Des Rivières Du Mantet - Ressec.  Conséquences Des - Breil-moubayed Joël(2012) Etude Hydrobiologique Pour Des Suivis Des Populations D'invertebrés Aquatiques. Bassins Versants Campelles- Cantallops - Dreal Paca - N2000 - Office National Des Forêts 83 Observateur Non Mentionné - Manzoni Adeline - Non Renseigné - Rezbany Ai-reser & Erwin Schaffer - Turquin Marie-josé

Informations sur l'espèce

Non renseignée pour le moment
Non renseigné pour le moment
Non renseignée pour le moment
Aucun synonyme pour ce taxon

Observations mensuelles