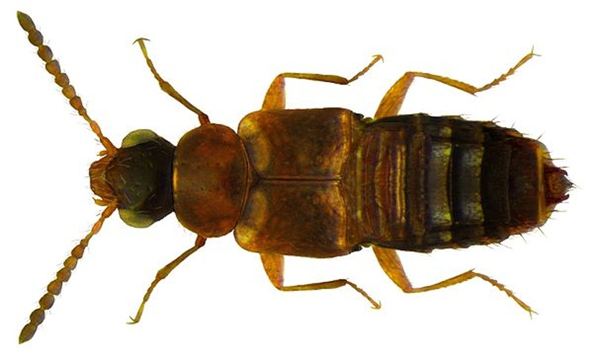
Gyrophaena Mannerheim, 1830

Classe : Hexapoda Ordre : Coleoptera Famille : Staphylinidae Sous-Famille : Aleocharinae Tribu : Homalotini
8 taxon(s) inférieur(s) agrégé(s) sur cette fiche

  • 20
    observations

  • 4
    réserves

  • 22
    observateurs

  • Première observation
    1947

  • Dernière observation
    2006
(1947). Les Goerius De France Et De Belgique. - (1965). Catalogue Des Coléoptères De La Forêt De La Massane. - (2004). Inventaire Des Coléoptères Staphylins - (2006). Catalogue Des Coléoptères Des Pyrénées-orientales. Volume I Staphylinidae - Ashe & Brooks - C.duverger - C.jeanne - Dajoz R. - E Et L Plas - F.bameul - F.benoist - F.duhaldeborde - F.tessier - G.basset - H.thomas - Jarrige J. - M.bernard - M.laguerre - Non Renseigné - P.dauphin - R.lapeyre - Tronquet M.

Informations sur l'espèce

Non renseignée pour le moment
Non renseigné pour le moment
Non renseignée pour le moment
Aucun synonyme pour ce taxon

Observations mensuelles