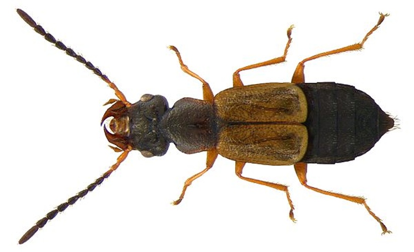
Anthophagus Gravenhorst, 1802

Classe : Hexapoda Ordre : Coleoptera Famille : Staphylinidae Sous-Famille : Omaliinae Tribu : Anthophagini
9 taxon(s) inférieur(s) agrégé(s) sur cette fiche

  • 39
    observations

  • 7
    réserves

  • 17
    observateurs

  • Première observation
    1886

  • Dernière observation
    2011
(1886). Les Histérides Gallo-rhénans. - (1900). Catalogue Des Coléoptères Des Albères; - (1965). Catalogue Des Coléoptères De La Forêt De La Massane. - (2006). Catalogue Des Coléoptères Des Pyrénées-orientales. Volume I Staphylinidae - Barbier - D. - Dajoz R. - Des Gozis M. - Doczkal - Ei Purpan - Fauvel A. - Mayet V. - Onf / Bd Nat - Plan De Gestion/csl - Soldati Fabien - Treiber Reinhold - Tronquet M. - Tronquet M.

Informations sur l'espèce

Non renseignée pour le moment
Non renseigné pour le moment
Non renseignée pour le moment
Aucun synonyme pour ce taxon

Observations mensuelles