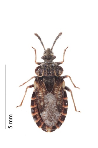
Aradidae Spinola, 1837

Classe : Hexapoda Ordre : Hemiptera
7 taxon(s) inférieur(s) agrégé(s) sur cette fiche

  • 30
    observations

  • 12
    réserves

  • 28
    observateurs

  • Première observation
    1955

  • Dernière observation
    2017
(1955). Contribution À La Faune Des Hémiptères Hétéroptères De La France - (1966). Ecologie Et Biologie Des Coléoptères Xylophages De La Hêtraie. - Ashe & Brooks - Brustel H. - C.duverger - C.jeanne - Dajoz R. - E Et L Plas - F.bameul - F.benoist - F.duhaldeborde - F.tessier - G.basset - H.thomas - Jean-francois Elder Onf - Langlois Dominique - Laurent Velle - M.bernard - M.laguerre - Matocq Armand - Non Renseigné - P.dauphin - Pluot-sigwalt Dominique & Rault Pierre Alexis - R.lapeyre - Sébastien Damoiseau (asfra) - Sébastien Damoiseau (cercope) - Sébastien Labatut (slb) - Wagner E.

Informations sur l'espèce

Non renseignée pour le moment
Non renseigné pour le moment
Non renseignée pour le moment
Aucun synonyme pour ce taxon

Observations mensuelles