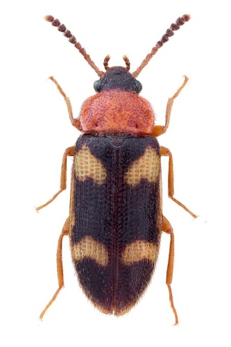
Mycetophagus fulvicollis Fabricius, 1792

Classe : Hexapoda Ordre : Coleoptera Famille : Mycetophagidae Sous-Famille : Mycetophaginae Tribu : Mycetophagini Genre : Mycetophagus
1 taxon(s) inférieur(s) agrégé(s) sur cette fiche

  • 16
    observations

  • 6
    réserves

  • 11
    observateurs

  • Première observation
    1875

  • Dernière observation
    2014
(1875). Une Excursion À La Massane. - (1960). Note Sur Quelques Coléoptères De La Forêt De La Massane. - (1965). Catalogue Des Coléoptères De La Forêt De La Massane. - (1966). Ecologie Et Biologie Des Coléoptères Xylophages De La Hêtraie. - Dajoz R. - Inconnu Inconnu; (voies Navigables De France (vnf)) - Labatut Sébastien - Laurent Velle - Marquet C. - Noblecourt T. - Pã´le National D’entomologie Forestiã¨re - Onf

Informations sur l'espèce

Non renseignée pour le moment
Non renseigné pour le moment
Non renseignée pour le moment
Aucun synonyme pour ce taxon

Observations mensuelles