• 23
    observations

  • 10
    réserves

  • 19
    observateurs

  • Première observation
    1998

  • Dernière observation
    2011
B. Dodelin - Benoit Dodelin - Dodelin Benoã®t - Du Granquet Et Du Pibeste - Du Kastelberg Et Du Rainkopf A La Bresse Et Xonrupt-longemer - Ei Purpan - Estibette Et Pibeste - Forêt De Très Crouts - Gangloff - Irstea - Jean-francois Elder Onf - Julien Dabry / Bd Nat - Plan De Gestion/csl - L. Valladares & H. Brustel - Lnef - Mention Dans La Znieff Numéro 410010392 : Chaumes Du Hohneck - Mention Dans La Znieff Numéro 730011454 : Massifs Calcaires De L'estibète - Mention Dans La Znieff Numéro 730011457 : Soulanes Et Crêtes Des Massifs Du Granquet - Sébastien Labatut (slb) - Vallée Du Bergons Et Crêtes

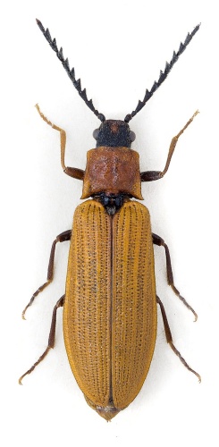
Informations sur l'espèce

Non renseignée pour le moment
Non renseigné pour le moment
Non renseignée pour le moment
Aucun synonyme pour ce taxon

Observations mensuelles